Knopper gall wasp

Knopper Gall

©Les Binns

Knopper Gall

©Amy Lewis

Knopper gall wasp

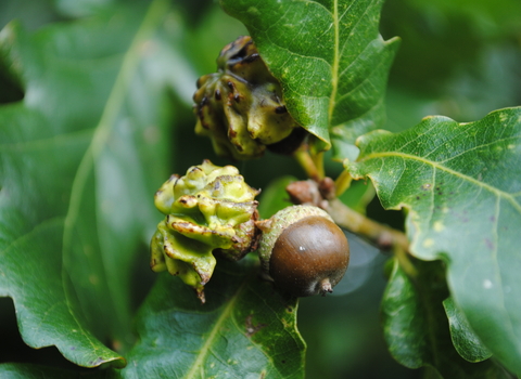
The knopper gall wasp produces knobbly red, turning to brown, growths, or 'galls', on the acorns of Pedunculate Oak. Inside the gall, the larvae of the wasp feed on the host tissues, but cause little damage.

Scientific name

Andricus quercuscalicis

When to see

January to December

Species information

Statistics

Length of gall: up to 2.8cm

Conservation status

Introduced species.

About

The knopper gall wasp, Andricus quercuscalicis, is a tiny wasp that produces ridged outgrowths, or 'galls', on the acorns of our native Pedunculate Oak; forming in August they are sticky and red, later becoming woody and brown. A second generation then develops in the catkins of Turkey Oak.

How to identify

The knopper gall wasp produces knobbly, bowl-shaped protrusions from acorns. They begin sticky and red, later turning brown.

Distribution

Widespread.

Did you know?

Like most gall wasps, the lifecycle of the knopper gall wasp is complicated, with an alternation of a sexual and asexual generation each year.